Home Theme ParksMattel Makes a Splash: What We Know About the Upcoming Mattel Water Park in Orlando

Mattel Makes a Splash: What We Know About the Upcoming Mattel Water Park in Orlando

Barbie, Hot Wheels, and indoor water park fun could soon be part of Central Florida’s attraction lineup

by Jeff
0 comments

Central Florida may soon be adding a very different kind of water park to its already crowded lineup, and this one comes straight out of the toy box. Mattel is officially moving forward with plans to bring its Mattel Wonder Indoor Waterpark concept to Orlando, marking what could be the first location of this new brand-driven water park experience.

If the idea of splashing through Barbie-inspired attractions or racing through Hot Wheels-themed slides sounds intriguing, you’re not alone. Since Mattel first teased the concept last fall, fans have been eager to see where and how this park would come to life. Now, thanks to newly filed documents with Orange County, we finally have a clearer picture of what’s being planned.

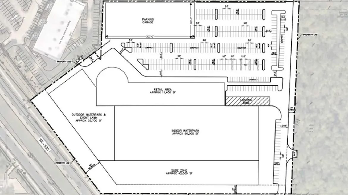
According to the filings, the indoor water park would be built on an 11-acre site along State Road 535 near the Lake Buena Vista Factory Stores. That location places it right in the heart of the tourist corridor, not far from Walt Disney World and other major attractions. The project is being filed on Mattel’s behalf by Kimley-Horn, a well-known engineering and design firm.

The documents describe the development as a tourist commercial resort featuring both indoor and outdoor water park elements. Beyond the water attractions, plans also include an outdoor gathering space, a retail store, and a family entertainment center, suggesting this won’t just be a quick splash-and-go experience.

The concept plans included with the permit application reveal some impressive numbers. The indoor water park alone is planned to span roughly 90,000 square feet. There’s also an 11,400-square-foot retail area and a massive 42,000-square-foot slide zone. Outside, guests could enjoy an additional 35,700 square feet of outdoor water park space, along with an event lawn designed for gatherings or special events.

To support all of this, the site plan includes a sizable parking setup with a 368-space parking garage and an additional surface lot offering 384 spaces. That’s a strong signal that Mattel expects this destination to draw significant crowds, even as a standalone attraction.

Back in mid-November, Mattel confirmed that Orlando was being targeted as the first location for its indoor water park concept. The company shared that attractions would be inspired by several of its most recognizable brands, including Barbie and Hot Wheels. Other Mattel properties such as Thomas & Friends, Polly Pocket, and Fisher-Price could also find their way into the park’s design.

Rather than focusing on just one theme, each Mattel Wonder Indoor Waterpark is expected to blend multiple brands across classic water park attractions like lazy rivers, wave pools, and water slides. That opens the door to a wide range of experiences that can appeal to both kids and nostalgic adults who grew up with these toys.

The design team behind the project adds even more credibility. Orlando-based Martin Aquatic is leading the aquatic design, and their resume includes major projects like Universal’s Volcano Bay and Royal Caribbean’s Perfect Day at CocoCay. Mattel is also partnering with American Resort Management and developer Identity Group to bring the project to life.

In a statement released last November, Mattel’s Vice President of Global Location Based Entertainment, Julie Freeland, emphasized the goal of creating a new kind of brand connection. She shared that the company is excited to work with industry leaders to develop an experience where guests can interact with Mattel’s brands in an entirely new way.

Orlando isn’t the only city on Mattel’s radar. In December, the company announced additional Mattel Wonder Indoor Waterpark locations planned for Bellevue, Nebraska, and Bradley, Illinois. Two more locations are still unannounced, but if Orlando truly becomes the first to open, Central Florida fans may get an early look at how Mattel plans to blend toys, storytelling, and water park thrills.

For a region already known as the theme park capital of the world, Mattel’s entry into the water park scene feels both unexpected and fitting. Whether this becomes a must-visit destination or a niche attraction remains to be seen, but one thing is certain: Orlando’s attraction landscape just got a lot more colorful.

Leave a Comment